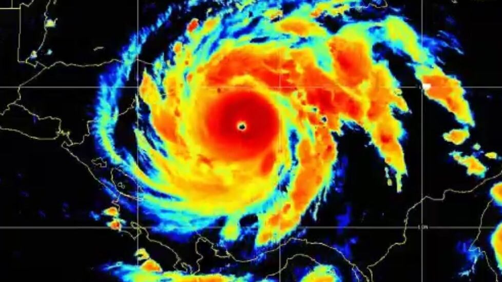
El huracán Iota se fortaleció la madrugada de este lunes a la “peligrosa” categoría 4, en su camino hacia Centroamérica, donde autoridades de varios países evacuaron a miles de personas para minimizar los riesgos, en una región recientemente devastada por el paso del ciclón Eta.
El Centro Nacional de Huracanes (NHC, por sus siglas en inglés) de Estados Unidos indicó que Iota pasó de la categoría 4 (sobre un máximo de 5), con vientos de hasta 230 kilómetros por hora.
“Se esperan vientos extremadamente peligrosos y marejada ciclónica amenazante a la vida a lo largo de la costa noreste de Nicaragua y este de Honduras”, dijo el NHC en un boletín.
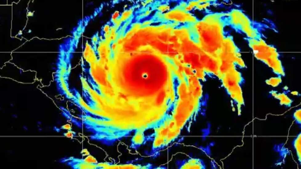
Se espera que Iota toque tocar tierra el lunes por la noche en el litoral entre Nicaragua y Honduras, siguiendo un rumbo similar al de Eta, que a inicios de noviembre dejó más de 200 muertos y 2.5 millones de afectados por inundaciones y deslaves.
El NHC advirtió que las fuertes lluvias provocadas por el ciclón podrían causar inundaciones repentinas y crecidas de ríos en Centroamérica y el norte de Colombia.
“Inundaciones y deslaves en Honduras y Nicaragua podrían verse exacerbados por los recientes efectos del huracán Eta” con un impacto “potencialmente catastróficos”, dijo el centro estadounidense.
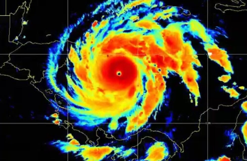
Nicaragua en alerta
En Nicaragua, las autoridades meteorológicas prevén que el huracán impacte entre el Cabo Gracias a Dios, en la frontera con Honduras, y Prinzapolka, más al sur, cerca de la ciudad de Bilwi.
En esa localidad de más de 40 mil habitantes, en su mayoría indígenas miskitos y afrodescendientes, la gente intentaba asegurar los techos de sus casas de madera con las mismas láminas rotas que se desprendieron con el paso de Eta, y guardaban sus pertenencias en bolsas para protegerlas de las lluvias.
*Con información de AFP
