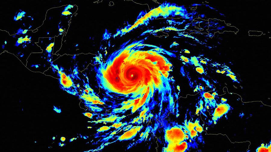
Tan solo unas horas pasaron para que tanto el Centro Nacional de Huracanes (NHC) como el Instituto Nacional de Sismología, Vulcanología, Meteorología e Hidrología (Insivumeh), confirmaran que el huracán Iota se fortaleció en categoría 3.
Según el boletín 19-2020 del Insivumeh, publicado a las 00:00 horas del lunes 16 de noviembre, el fenómeno climático se moviliza con vientos sostenidos de más de 200 kilómetros por hora y se encontraba a 290 kms al este de las costas de Prinzapolka, en Nicaragua.
“Se prevé que ingrese a ese país durante la madrugada del martes”, se indicó.
Huracán categoría 3
En ese mismo boletín del Insivumeh, y tal como se aseguró en el anterior, la inestabilidad y las bandas nubosas más externas del sistema podrían incrementar las lluvias desde este mismo lunes en los departamentos de Petén, Izabal, Alta y Baja Verapaz, norte de Huehuetenango y Quiché. Asimismo en el noreste de Zacapa y Chiquimula.
“Siendo las lluvias de tipo temporal (lloviznas o lluvias intermitentes durante todo el día), así como lluvias locales durante la tarde o noche sobre boca costa, suroriente y centro, incluyendo ciudad capital”, se indicó.
Recomendaciones
Asimismo, la entidad insistió en recordar las recomendaciones que se dieron con anterioridad.
Debido a que los suelos continúan saturados y las lluvias incrementarán e todo el país desde el próximo martes, 17 de noviembre, se recomienda tomar las precauciones necesarias ya que se podrán presentar las siguientes situaciones:
- Lahares en la cadena volcánica
- Crecidas repentinas de ríos
- Inundaciones
- Derrumbes
- Problemas en la red vial.
Finalmente, la institución indica que para mayor información se puede comunicar al 3170-4200.
“Peligroso”
Por su parte, el Centro Nacional de Huracanes (NHC), indicó en sus redes sociales, mediante el aviso 11A, que un avión de reconocimiento descubre que Iota “se ha convertido rápidamente en un huracán importante y peligroso”.
“Se espera que traiga vientos potencialmente catastróficos, marejadas ciclónicas potencialmente mortales e impactos de lluvia extrema a América Central”, se añadió.
* Con información del Insivumeh y Centro Nacional de Huracanes.
