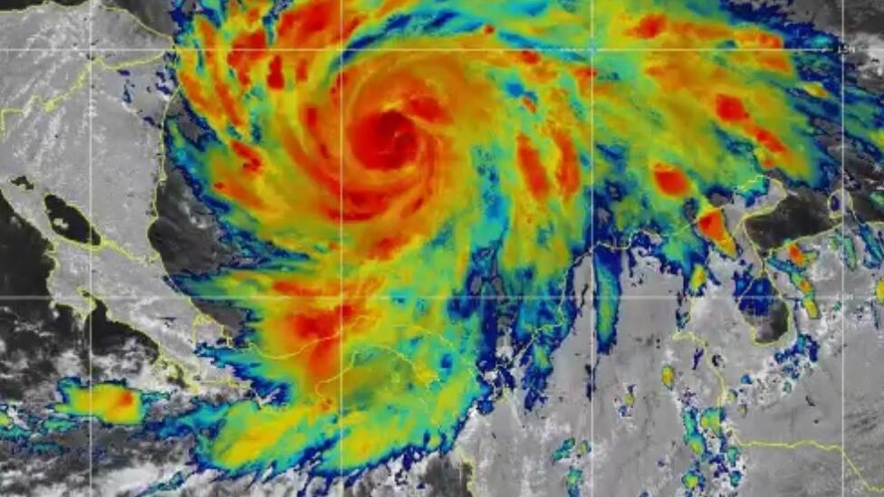
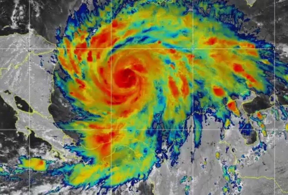
El Centro Nacional de Huracanes (NHC, por sus siglas en inglés) de Estados Unidos advirtió este domingo, por medio de sus redes sociales, que el huracán Iota podría convertirse en un ciclón “extremadamente peligroso” y llamó a las autoridades de las áreas en riesgo a apurar los preparativos para su inminente impacto.
Las proyecciones del NHC indican que Iota podría tocar tierra el lunes, en el litoral Caribe entre Nicaragua y Honduras, siguiendo un rumbo similar al de Eta, que a inicios de este mes dejó más de 200 muertos y 2.5 millones de afectados por inundaciones y deslaves.
El centro agregó que las fuertes lluvias provocadas por el ciclón podrían causar inundaciones repentinas y crecidas de ríos en Centroamérica y el norte de Colombia.
“Inundaciones y deslaves en Honduras y Nicaragua podrían verse exacerbados por los recientes efectos del huracán Eta, resultando en impactos de significativos a potencialmente catastróficos”, advirtió el NHC.
En Honduras, policías y militares desalojaban en lanchas y helicópteros, por segundo día consecutivo, a decenas de miles de pobladores en el valle de Sula, en las proximidades de San Pedro Sula, la segunda ciudad del país, 180 kilómetros al norte de Tegucigalpa, ante las inminentes inundaciones.
La Comisión Permanente de Contingencias (Copeco) alertó en un comunicado que la cercanía de Iota “incrementa el riesgo de inundación y deslizamientos, sobre todo en las zonas que fueron impactadas por Eta”.
Guatemala, que sufrió mortales deslaves con el paso de Eta, prevé fuertes lluvias a partir del martes, especialmente en los departamentos de Petén, Alta Verapaz, Baja Verapaz, Izabal, Huehuetenango, Quiché, Chiquimula, Zacapa, Jutiapa, Santa Rosa, Escuintla y en la capital Guatemala.
En tanto, El Salvador declaró alerta amarilla, con la recomendación de adoptar inmediatamente todas las medidas de protección posibles, según el ministro de Gobernación, Mario Durán.
“Qué podemos hacer contra la fuerza de Dios”
En Bilwi, una ciudad del Caribe Norte de Nicaragua, la gente intentaba asegurar los techos de sus casas de madera con las mismas láminas de zinc rotas que se desprendieron tras el paso de Eta, y guardaban sus pertenencias en bolsas para protegerlas de las lluvias.
“Estamos consternados, nerviosos; psicológicamente no estamos bien porque perder nuestras cosas y volver a empezar no es fácil. Algunos tenemos la casa viejita y corremos el riesgo de perderlo todo”, declaró Silvania Zamora, habitante de Bilwi.

Las autoridades buscaron desalojar a los habitantes, pero muchos se niegan a ir a los albergues.
“Algunos preferimos quedarnos y morir en nuestras casas. Nunca antes había habido un huracán que se repitiera en tan poco tiempo, pero qué podemos hacer contra la fuerza de Dios y la naturaleza”, lamentó Zamora.
Numerosos camiones de carga privada y del gobierno se dirigían este domingo a Bilwi, provocando grandes filas para atravesar el río Wawa, cuyo cruce se hace en barcazas, lo que dificultó el traslado de ayuda a la zona.
*Con información de AFP
