El 2019 fue un años en el que la naturaleza puso al límite al mundo. Ya sea por el mal accionar de la humanidad, como en el caso de los incendios o la polución, o por la furia de la Tierra, que provocó devastadores terremotos, incendios y erupciones volcánicas.
Estos fueron los desastres naturales que más impacto causaron durante el año:
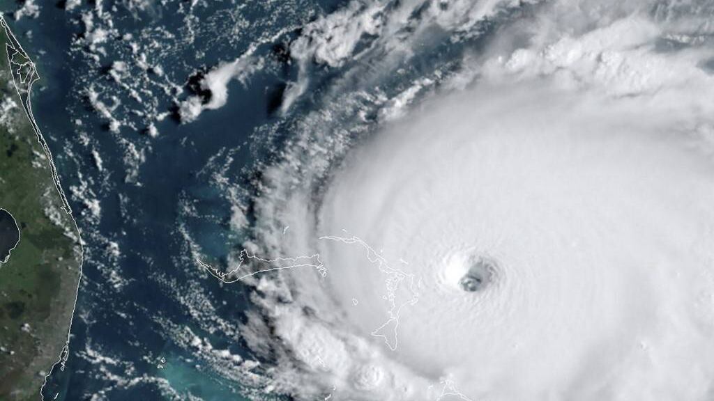
Huracán Dorian
A comienzos de septiembre, el huracán Dorian, de categoría 5, causó estragos en las islas Ábaco y en Gran Bahama.
A su paso por el Caribe, mató a 61 bahameños, nueve estadounidenses y a un puertorriqueño, dejando además pérdidas económicas de 8.28 mil millones de dólares.
Se trató del huracán más fuerte jamás registrado en el noroeste de Bahamas registrando vientos de hasta 295 kilómetros por hora.
Incendios en 2019
A finales de agosto y principios de septiembre, feroces incendios forestales provocaron una crisis ambiental en la Amazonía.
La selva más grande del mundo registró un dramático aumento en el número de fuegos que se presentaron durante este año, situando los ojos del mundo en Brasil, a cuyo presidente, Jair Bolsonaro, le llovieron críticas de parte de la comunidad internacional por su falta de acción.
Además, países como Australia, Estados Unidos y Portugal sufrieron también la furia de las altas temperaturas, que desencadenaron enormes incendios.
Inundaciones en Venecia
La ciudad italiana de Venecia sufrió este año la segunda "Acqua alta" (marea alta) más importante registrada desde 1923.
La inundación, de una magnitud excepcional, se produjo luego de que la marea subiera 187 centímetros la noche del martes, cubriendo buena parte de la Ciudad de los Dogos y sorprendiendo a turistas que merodeaban las calles cubiertas de agua.
Terremotos en 2019
Varios terremotos sacudieron el mundo este año. Uno de los más destructivos se registró en Albania, donde un sismo de magnitud 6.4 sacudió la región de Durres a finales de noviembre, dejando más de 50 muertos.
Filipinas también sufrió una serie de sismos que dejaron decenas de muertos. En octubre, tres temblores de magnitud superior a 6.0 provocaron la muerte de unas 20 personas, y otro registrado a mediados de diciembre derrumbó un edificio en el cual se encontraba un mercado, en la localidad de Padada.
Erupciones volcánicas en 2019
La violenta erupción del volcán Estrómboli, en Italia, considerado uno de los más activos del mundo, provocó en julio la muerte de una persona.
Dos meses después, el volcán volvió a entrar en erupción.
A principios de diciembre, Nueva Zelanda también vivió una tragedia similar con la erupción del volcán Whakaari, ubicado en White Island, una isla turística situada unos 50 kilómetros de la costa de la bahía de Plenty.
La explosión provocó la muerte de 18 personas, entre ellas varios turistas.
Tifón Hagibis
En octubre, el paso del tifón Hagibis por Japón dejó al menos 31 muertos y más de un centenar de heridos.
Las severas lluvias y vientos generados por el tifón provocaron inundaciones y destrucción en el país nipón.
