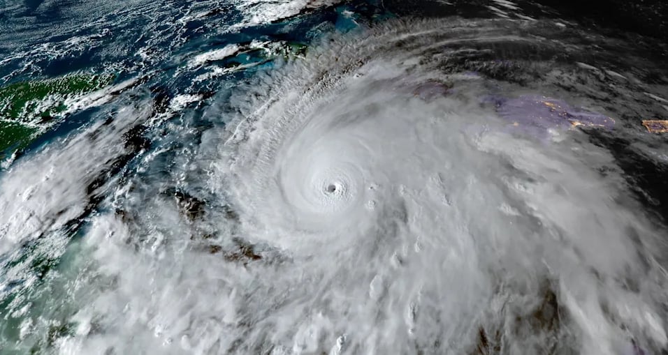
Un impresionante video, grabado desde la cabina de un avión WP-3D Orion de la NOAA, ha revelado la cruda realidad de volar directamente hacia el corazón de un huracán. Las imágenes, capturadas por los propios miembros de la tripulación, documentan las violentas turbulencias que sacudieron la aeronave en el preciso momento en que atravesaba la pared del ojo del huracán Melissa.
En la grabación se observa a los pilotos en la cabina, concentrados y con movimientos precisos, mientras luchan por mantener estable el avión. La nave se sacude y balancea con fuerza, sometida a la enorme potencia de los vientos ciclónicos que azotan su estructura.
Estas misiones, aunque extremadamente peligrosas, son vitales para la ciencia. Los llamados “cazadores de huracanes” de la NOAA se adentran en estas tormentas para recoger datos críticos sobre su intensidad, estructura y trayectoria. Esta información es esencial para que los meteorólogos puedan emitir avisos precisos y salvar vidas, ofreciendo una ventana única a la fuerza destructiva de la naturaleza desde su mismo epicentro.
